不動産 賃貸 マンション等の住宅情報:埼玉住まい情報


静岡県牧之原市大沢の貸その他:物件詳細

  • 物件詳細
  • 情報の見方
  • 印刷用画面
交通
所在地
駅徒歩 賃料
管理費等
敷金/保証金
礼金
使用部分面積
坪数/坪単価
物件種目
築年月

【バス】大沢公園 停歩5分

静岡県牧之原市大沢


12万円

なし

3ヶ月 / なし

1ヶ月

162.20m²

49.06坪/0.2446万円

貸作業所

1992年9月(築33年4ヶ月)

おすすめコメント

150号バイパス牧之原大沢IC、商店街近く。スーパー、コンビニ、100均、銀行等の施設が充実したエリア。利便性の高い環境。行動473号線と市道の二方向道路に面す。国道沿いなので、ご商売向きの立地です。

間取図

間取図

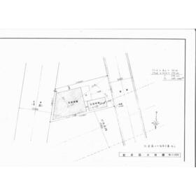
建物配置図、敷地図面

外観

外観

建物外観。手前に平屋建屋、奥に2階建建屋があります。

<
その他の画像
  • 外観
  • 外観
  • 外観
  • ショッピング施設
  • ショッピング施設
  • ショッピング施設
  • コンビニ
  • 販売店
  • 販売店
  • 販売店
  • 銀行
>
    • とりあえず保存
    • お問い合わせ
    交通

    【バス】 大沢公園 停歩5分

    所在地 静岡県牧之原市大沢
    物件種目 貸作業所
    賃料 12万円 管理費等 なし
    敷金 / 保証金 3ヶ月 / なし 礼金 1ヶ月
    敷引 実費 坪単価 0.2446万円
    保証金償却 権利金
    造作譲渡 その他一時金
    保険等 要 2年 火災    
    使用部分面積 162.20m² 坪数 49.06坪
    築年月 1992年9月(築33年4ヶ月) 階建 / 階 2階建
    駐車場 有 無料 バイク置き場
    駐輪場 土地面積 249.11m²(公簿)
    接道状況 東 9.0m 公道 接面11.0m ・ 西 12.0m 公道 接面12.0m ・ 二方道路 用途地域 準工業
    間取り 建物構造 鉄骨造
    アピールポイント 150号バイパス 牧之原大沢IC、商店街近く。
    スーパー、コンビニ、100均、銀行等の施設が充実したエリアです。
    その他、牧之原市役所相良庁舎や、旧相良町商店街にも近く様々な施設が整った利便性の高い環境です
    鉄骨造平屋建て車庫と、鉄骨2階建作業所の二棟。
    車庫は事務所的にも利用可。
    作業所は、1階 101.30㎡(30.58坪)と、2階 34.18㎡(10.32坪) 延135.48㎡(40.90坪)
    2階は物置スペースとして利用可。
    作業所床は土間コンクリート仕上。
    入口開口は、高さ3m×3枚のハンガードアで、約5mの大開口。
    天井高は約4.5mの開放的な空間。
    バイク修理・販売業等に適した物件。
    国道473号と市道の二方向道路に面しています。
    国道沿いなので、ご商売向きの立地です。
    充実の周辺施設の例、フードマーケットMom相良店 450m、スーパーラック相良店 550m、マツヤデンキ・カワムラ相良店 450m、島田掛川信用金庫相良北店 400m、セブンイレブン牧之原波津店 450m、セリア生活良品相良店 500m等…。
    建物名・部屋番号 貸作業所 牧之原市大沢
    リフォーム履歴
    リノベーション履歴
    特記事項
    備考
    管理形態/管理員の勤務形態:-/-
    主要採光面:西向き
    150号バイパス 牧之原大沢IC、商店街近く。
    スーパー、コンビニ、100均、銀行等の施設充実。利便性の高い環境です。
    国道473号と市道の二方向道路。
    国道沿いなので、ご商売向きの立地です。
    鉄骨造平屋建て車庫と、2階建作業所の二棟。
    車庫は事務所的にも利用可。
    作業所は、101.30㎡(30.58坪)と、2階34.18㎡(10.32坪) 延135.48㎡(40.90坪)
    2階は物置スペースとして利用可です。
    作業所床は土間コンクリート仕上。
    入口開口は、高さ3m×3枚のハンガードアで、約5mの大開口です。
    天井高は約4.5mの開放的な空間です。
    バイク修理・整備工場等に適した物件です。
    充実の周辺施設の例、フードマーケットMom相良店 450m、スーパーラック相良店 550m、マツヤデンキ・カワムラ相良店 450m、島田掛川信用金庫相良北店 400m、セブンイレブン牧之原波津店 450m、セリア生活良品相良店 500m等…。
    エネルギー消費性能
    断熱性能
    目安光熱費
    バス・トイレ トイレ
    キッチン
    設備・サービス 動力あり
    その他
    契約期間 2年 条件等
    引渡可能時期 相談 現況
    仲介手数料 1ヶ月    
    更新料 なし 物件番号 6976813604
    情報公開日 2025年1月16日 次回更新予定日 2025年12月14日
    ケータイ用バーコード

    QRコード

    スマートフォンでこの物件を見る
    スマートフォンからもこの物件をご覧になれます。
    ※「-」と表示されている項目については、情報提供会社にご確認ください。

    この物件の周辺情報

    周辺施設 フードマーケットMom相良店
    距離 425m
    周辺施設 スーパーラック相良店
    距離 619m
    周辺施設 ミルキーウェイショッピングタウン
    距離 589m
    周辺施設 セブンイレブン牧之原波津店
    距離 463m
    周辺施設 TSUTAYA相良店
    距離 451m
    周辺施設 マツヤデンキカワムラ相良店
    距離 445m
    周辺施設 Seria生活良品相良店
    距離 466m
    周辺施設 島田掛川信用金庫相良北支店
    距離 387m

    クイックお問い合わせ

    ここから簡単にお問い合わせをすることができます。
    (SSLでの暗号化での送信を希望されるお客さまは こちら よりお問い合わせください)

    お問い合わせ内容(必須)
    物件のお問い合わせ理由(必須)
    お名前・ご担当者様名(必須) 姓  名 
    メールアドレス(必須)
    ※携帯電話のメールアドレスをご入力される方はこちらをご確認ください
    電話番号(必須)
    - -

    ※入力いただいた電話番号へSMSまたは音声でパスワードをご連絡します。

    携帯電話の番号をご入力の方へ

    携帯電話の番号をご入力の方へ
    確認画面にて送信ボタンをクリックするとSMSが携帯電話に届きます。
    そのSMSに記載のパスワード(認証番号)を入力し、お問い合わせを完了してください。
    尚、SMSの送信者番号は 0005 202 760 となります。
    これはアットホームの固定番号です。

    備考欄 希望条件、物件案内希望日、質問などがございましたらご記入ください。
    お問い合わせを行う前に「個人情報の取り扱いについて」を必ずお読みください。
    「個人情報の取り扱いについて」に同意いただいた場合は「上記にご同意の上 確認画面へ進む」のボタンをクリックしてください。

    個人情報の取り扱いについて

    皆さまが送付された個人情報はアットホーム(株)のサーバを経由し、お問い合わせ先の不動産会社にメールまたはFAXにて転送されるためアットホーム(株)にも保管されます。アットホーム(株)で保管された個人情報の取り扱いについては、【こちら】をご覧ください。
    また、本画面でご記入いただいた個人情報は、お問い合わせ先の不動産会社でも保管します。 お問い合わせ先の不動産会社が保管する個人情報の取り扱いについては、不動産会社に直接お問い合わせください。

    情報提供会社

    情報提供会社

    大成ビルド(株) 本社

    静岡県知事免許(1)第14474号

    交通:
    東海道本線/静岡駅 徒歩22分 【バス】21分 南安倍町 停歩1分
    静岡県静岡市葵区南安倍1丁目3-10 大成住宅ビル501号
    TEL:
    054-254-7025
    FAX:
    054-253-1470
    所属団体:
    (公社)静岡県宅地建物取引業協会会員
    東海不動産公正取引協議会加盟

    取引態様:仲介

    • 会社情報
    • 40409453
    スマートフォンで
    この不動産会社を見る
    QRコード
    • とりあえず保存
    • お問い合わせ
    • 提携サイト等より掲載されている物件情報につきましては、不動産会社詳細情報にリンクされていないものがあります。
    • 物件に関するお問合せは、物件詳細ページの「情報提供会社」に表示されている不動産会社へ直接お願いいたします。
    • 間取図は、現況を優先させていただきます。
    • 映像は物件の一部を撮影したものです。物件の契約にあたっての最終判断はご自身の判断に基づいて行ってください。
    • 仲介手数料について仲介手数料

    アットホームは物件情報の適正化に努めております。 内容に誤りがある場合にはこちらへご連絡ください。

    【埼玉住まい情報】では、日本全国の物件から賃貸マンションや賃貸アパート・賃貸一戸建て等の賃貸住宅情報、新築マンション・分譲マンションや中古マンション等の売買マンション情報、新築一戸建てや中古一戸建てなどの戸建住宅、 土地など、総合的な不動産住宅情報検索サービスを提供致します。
    【埼玉住まい情報】から、選りすぐりの不動産物件を探してみましょう。

    【免責事項】
    このコーナーの運営はアットホーム株式会社(https://www.athome.co.jp/)が行っています。
    このコーナーに掲載している物件情報は、「アットホーム不動産情報ネットワーク」に加盟する不動産会社等(情報提供元)から提供されています。信頼性の高い情報提供が行えるよう、最大限の努力をしておりますが、その内容を保証するものではありません。 利用者のみなさまと各情報提供元との取引に起因する損害および情報が掲載されたことに起因する損害等については、株式会社イーシティ埼玉、およびアットホームは一切責任を負いません。
    各物件情報の内容や画像等はすべて現況を優先させていただきます。
    お取引等(お取引の準備、資金調達等を含みます)の際には、内容や契約条件等について、各情報提供元より十分な説明を受け、ご自身でご確認の上、判断してください。
    このコーナーへの物件情報のご掲載、その他不動産業務ソリューション等についての不動産会社様のお問合せはこちらからお願いいたします。

    物件画像: